Il vento soffia forte appena scendo dal volo proveniente da Istanbul, nel cuore della notte. Il vento non mi ha quasi mai abbandonato anche per i dieci giorni successivi a Safaga. Il mio resort dista poco piu’ di 20 chilometri dalla piccola cittadina di Port Safaga, un piccolo villaggio di pescatori distante piu’di un’ora di auto dalla piu’ celebre localita’ di Hurghada una citta’ turistica tra le piu’ importanti d’Egitto.La cittadina di Safaga è una meta ancora poco conosciuta al turismo internazionale che vanta una barriera corallina ancora incontaminata e delle baie spettacolari, chi raggiunge questo piccola porzione di paradiso lo fa fa principalmente per il diving e per lo snorkeling.Il resort e il diving che ho scelto sono a gestione tedesca e non mi meraviglia scoprire che qui di italiani se ne vedono pochi, la struttura si compone di soli 40 bungalow in muratura tutti con una splendida vista sull’azzurro del mar rosso dove regna pace e tranquillita’ senza alcuna traccia di animazione tipica delle grandi strutture ricettive del mar rosso 
.
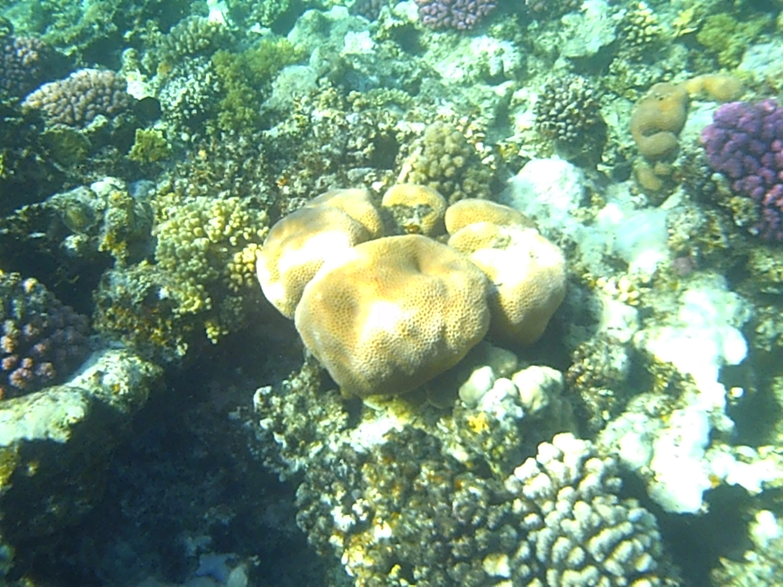
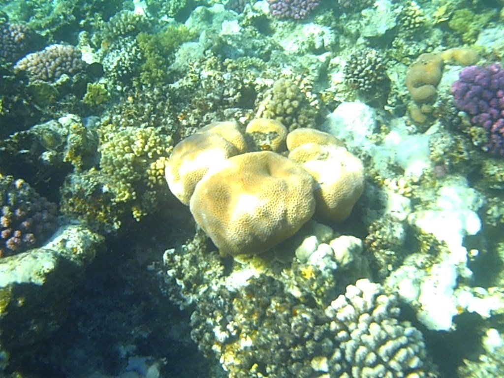
Qui il tempo è scandito solo dal sole che sorge molto presto e che, a gennaio tramonta altrettanto presto ,durante le ore centrali ci si puo’ godere il caldo sole che mi fa dimenticare la fitta nebbia invernale di Bologna.Il pezzo forte di questo posto è la barriera corallina alla quale si puo’ accedere direttamente dalla riva senza bisogno di alcun pontile. Da appassionata di mare non potevo non fare qualche immersione ma sopratutto dedicarmi ad una delle mie passioni piu’ grandi: lo snorkeling. La temperatura dell’acqua è freddina cosi’ da essere sempre necessario l’utilizzo di una mezza muta che mi ha permesso di restare in acqua anche per piu’ di un’ora. La barriera corallina è, per fortuna, in buona salute tranne per la presenza di enormi quantitativi di plastica che spesso nuotano con i pesci o che si incastrano tra i rami delle gorgonie.Gia’ alla prima pinnata mi rendo conto di quanto sia variegato l’ambiente marino, un piccolo branco di calamari fluttuano leggiadri tra il blu del mare, questa specie di calamaro(Sepioteuthis lessoniana) è un invertebrato che puo’ raggiungere i 36 centimetri e ha una livrea bruna,nuota veloce e cambia direzione in base alla corrente, ogni mio tentativo di avvicinamento, con la speranza di immortalarli in una foto, è vano. Continuo a nuotare lentamente cercando di guardare tutto con la massima attenzione ma sono rapita dai colori e dalla vivacita’ dell’ambiente pesci balestra, pesci pipa e pesci ago dalle livree multicolore nutano senza mostrare alcun timore per la mia presenza sembrano quasi sospesi nell’acqua.Guardo attentamente una roccia e distinguo perfettamente un pesce pietra che riposa, questa creatura è straordinaria il suo corpo è tozzo con testa e bocca molto grandi, toccarlo, seppur accidentalmente, puo’ essere in alcuni casi mortale poiche’ gli aculei che reggono la pinna dorsale sono collegate con ghiandole velenifere, ugualmente velenoso è il bellissimo pesce leone che viene chiamato anche pesce cobra o scorpione, la sua livrea è a strisce marroni e bianche, le sue pinne pettorali sono formate da raggi che in situazioni di pericolo possono drizzarsi diventando una raggiera velenosa.

I miei 9 giorni successivi mi regalano giornalmente qualche sorpresa come quella piu’ grande del mio ultimo giorno di permanenza a Safaga, l’incontro con una tartaruga marina della specie -caretta caretta- che a pochi metri da me nuota verso le profondita’ marine agitando con grazia e lentamente le sue pinne pettorali, tante volte mi era capitato di vedere delle tartarughe in ambiente controllato, ho visitato anche qualche centro di recupero per la salvaguardia di questi rettili che attualmente sono fortemente minacciati da diversi fattori, tra cui anche la presenza di sachetti di plastica, che molto spesso scambiano per meduse, cibo di cui sono molto ghiotte.
Fuori dall’acqua mi concedo anche lunghe passeggiate nel deserto circostante che costeggia il mare in un’alternanza di dune e acqua che si infuocano per l’ora del tramonto ,regalando uno spettacolo naturale senza uguali, putroppo pero’ anche Safaga tra qualche hanno sara’ piena di cemento vista la presenza di diversi cantieri
e questo togliera’ quella magia che ancora si respira da queste pa

Leave a comment